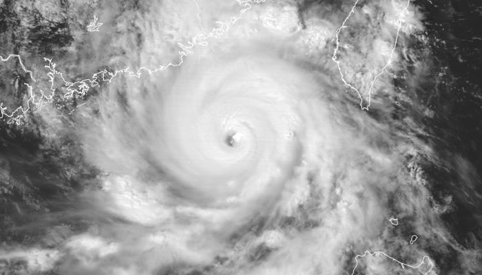
9号台风路径实时发布系统卫星云图 台风苏拉实时路径图2023
据网络资讯,9号台风苏拉已经生成了一周多,从苏拉最新的卫星云图上可以看见苏拉其实个子不大,但不要被它迷你的外表欺骗了。台风苏拉可是一个超强台风。而且,可以看到的是苏拉的台风眼也是非常清晰的,可见其破坏力是非常大的。为什么小小个头的台风苏拉会这么厉害呢?下面一起来分析分析。
9号台风路径实时发布系统卫星云图

专题点击》》2023年第9号台风苏拉路径实时发布系统

台风苏拉卫星云图2

台风苏拉卫星云图3

台风苏拉卫星云图4
苏拉是个小而强的台风,中心风力强,10级大风半径130km(杜苏芮最强时8级半径300km),12级大风半径70km(杜苏芮90km左右),简称“苏小强”。
其云墙密实又精致,意味着它中心登陆及略过的地方风力很强,降雨强度也大,风雨沿台风中心向外衰减比较明显。
超强台风苏拉五大关键防御要点
据中国天气消息,今年第9号台风“苏拉”仍维持超强台风级别(17级,58米/秒),预计将于9月1日下午至夜间在广东惠来到香港一带沿海登陆(强台风级或超强台风级,45-52米/秒,14-16级),从目前来看“苏拉”仍存在擦着广东沿海不登陆的可能性。是否登陆将直接影响到我国华南和东南沿海地区强风雨变化。以下五大关键防御点需注意:
①9月1日-3日,广东东部地区、珠三角地区以及粤北偏南地区普遍有暴雨到大暴雨、局地特大暴雨的强降雨过程。其中,广东东部将直面台风本体风雨影响,珠三角地区风雨防御侧重点则与“苏拉”深入内陆程度有关。广东省气象台首席预报员张东表示,无论登不登陆,“苏拉”对广东珠江三角洲影响都会非常显著。
②如果“苏拉”沿着岸边擦过、不登陆,台风损耗小,广东珠三角中南部一带强降雨仍会非常显著,同时珠江口外海面风力会明显增大,大风的影响主要是在广东的东部沿海到珠江口附近地区;而如果“苏拉”登陆并深入内陆,珠江口外海面风力相对较弱,但暴雨区会往粤北或者珠三角北部地区扩展。
③福建也是这次“苏拉”风雨重点影响地区。福建省气象台首席预报员吴幸毓表示,今天开始到9月2日,包括漳州、厦门、龙岩、泉州等福建南部地区将有暴雨到大暴雨过程,累计雨量可达100到200毫米,局部可能达到350毫米,最大小时雨强可能达100毫米。
④即使“苏拉”登陆后,强度逐渐减弱,但仍可能长时间影响华南沿海地区。目前降雨核心影响时段为9月1日至3日,4日至5日的影响仍有一定变数。
⑤目前这三个台风有像“杜苏芮”那样北上影响的极端情况吗?“苏拉”主要影响华南地区,不会北上;台风“海葵”主要影响华东地区,尤其浙江将是其核心影响区域,目前来看有北上的可能性,时效尚远,仍需临近再看。此外,12号台风“鸿雁”未来主要对日本等地造成影响,对我国影响不大。中央气象台首席预报员许映龙表示,从目前形势来看,像“杜苏芮”那样北上深入造成的极端降水情况,“苏拉”、“海葵”都不太可能出现。

台风影响
台风快讯
时间:31日14时
命名:“苏拉”,SAOLA
编号:2309号
中心位置:北纬21.2度、东经117.8度
强度等级:超强台风级
最大风力:16级,55米/秒(约198公里/小时)
中心气压:930 hPa
参考位置:距离广东省汕尾市东偏南方向约305公里
风圈半径:七级风圈半径东北方向280公里;东南方向250公里;西南方向250公里;西北方向280公里
十级风圈半径东北方向130公里;东南方向130公里;西南方向130公里;西北方向130公里
十二级风圈半径东北方向70公里;东南方向70公里;西南方向70公里;西北方向70公里
预报结论:“苏拉”将以每小时10-15公里的
